O PREFEITO MUNICIPAL DA
SERRA, ESTADO DO ESPÍRITO
SANTO, usando das atribuições legais, que lhe são conferidas pelo disposto
no inciso V do artigo 72 da Lei Orgânica do
Município e, tendo em
vista o que consta no processo administrativo nº 51.452/2016, decreta:
Art. 1º Declara de Utilidade Pública, para fins de instituição de faixas de servidão, as seguintes áreas:
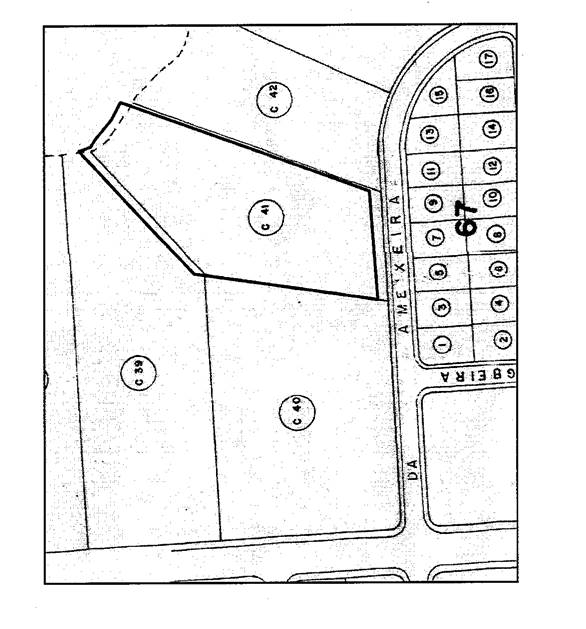
Área medindo 110,40m², integrante da Chácara 41, com área total de 6.300,00m², localizada na Rua Ameixeira, Loteamento “Balneário Carapebus”, Bairro Balneário de Carapebus, Distrito de Carapina, Serra – ES, de propriedade de Flávio Antônio de Souza Mendes e outros, matriculada no Cartório de Registro de Registro Geral de Imóveis do 1º Ofício 2ª Zona da Serra, sob o nº 66.324, do Livro nº 2, conforme Anexo 1.
Área medindo 14,00 m², integrante da Chácara 63, com área total de 6.338,00m², na Rua da Acácia, Loteamento “Balneário Carapebus”, Bairro Balneário de Carapebus, Distrito de Carapina, Serra – ES; de propriedade da Sociedade Empresária Lazer Administração e Participação Ltda, inscrita no CNPJ nº 01.243.869/0001-20; matriculada no Cartório de Registro de Registro Geral de Imóveis do 1º Ofício 2ª Zona da Serra, sob o nº 16.592, Livro 2, conforme Anexo 2.
Área medindo 14,00m², integrante da Chácara 64, com área total de 7.322,00 m², na Rua da Acácia, Loteamento “Balneário Carapebus”, Bairro Balneário de Carapebus, Distrito de Carapina, Serra – ES; de propriedade do Espólio de José Olympio Gomes, matriculada no Cartório de Registro Geral de Imóveis da 1ª Zona de Vitória, sob o nº 44, Livro 8-H, conforme Anexo 2.
Área medindo 119,20m², integrante da Chácara 68, com área total de 6.272,00m², na Rua da Acácia, Loteamento “Balneário Carapebus”, no Bairro Balneário de Carapebus, Distrito de Carapina, Serra – ES, de propriedade de Helon Martins de Carvalho e Raquel das Neves e Silva Carvalho, matriculada no Cartório de Registro de Registro Geral de Imóveis do 1º Ofício 2ª Zona da Serra, sob o nº 80.268, Livro 2, conforme Anexo 3.
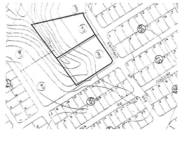
Área medindo 66,00m², integrante da Chácara 82, com área de 6.156,00m², na Rua do Coqueiro, Loteamento “Balneário Carapebus”, no Bairro Balneário de Carapebus, Distrito de Carapina, Serra – ES, de propriedade da Sociedade Empresária Douglas Seidel Móveis Ltda, CNPJ nº 28.134.930/0001-57, matriculada no Cartório de Registro de Registro Geral de Imóveis do 1º Ofício 1ª Zona da Serra, sob o nº 3.880, Livro 2-R, conforme Anexo 4.
Área medindo 63,20m², integrante da Chácara 83, com área de 6.292,00m², na Rua do Coqueiro, Loteamento “Balneário Carapebus”, no Bairro Balneário de Carapebus, Distrito de Carapina, Serra – ES, de propriedade da Sociedade Empresária Douglas Seidel Móveis Ltda, CNPJ nº 28.134.930/0001-57; matriculada no Cartório de Registro de Registro Geral de Imóveis do 1º Ofício 1ª Zona da Serra, sob o nº 3.880, Livro 2-R, conforme Anexo 4.
Art. 2º O presente Decreto tem por finalidade instituir faixas de servidão para passagem de rede de drenagem de águas pluviais.
Art. 3º Este Decreto entrará em vigor na data de sua publicação ficando revogadas as disposições em contrário, especialmente o Decreto nº 929/2017.
Palácio Municipal, em Serra, aos 20 de março de 2017.
AUDIFAX CHARLES PIMENTEL
BARCELOS
PREFEITO
MUNICIPAL
Este texto não substitui o original publicado e arquivado na
Prefeitura Municipal da Serra.
ANEXO 1 – CHÁCARA 41

ANEXO 2 – CHÁCARAS 63 E 64

ANEXO 3 – CHÁCARA 68

ANEXO 4 – CHÁCARAS 82 E 83

![]()