DECRETO Nº 929, DE 9 DE MARÇO DE 2017
DECLARA DE UTILIDADE PÚBLICA, PARA FINS DE INSTITUIÇÃO DE FAIXAS DE SERVIDÃO, CHÁCARAS DO LOTEAMENTO BALNEÁRIO CARAPEBUS, DISTRITO DE CARAPINA, SERRA/ES.
O PREFEITO MUNICIPAL
DA SERRA, ESTADO DO
ESPÍRITO SANTO, usando das atribuições legais,
que lhe são conferidas pelo disposto no inciso V do artigo 72 da Lei Orgânica do Município
e tendo em vista o que consta no processo administrativo nº
51.452/2016, decreta:
Art. 1º Declara de
Utilidade Pública, para fins de instituição de faixas de servidão, as seguintes
áreas:
a) Área medindo 110,40m²,
integrante da Chácara 41, com área total de 6.300,00m², localizada na Rua
Ameixeira, Loteamento “Balneário Carapebus”, Bairro
Balneário de Carapebus, Distrito de Carapina, Serra –
ES, de propriedade de Flávio Antônio de Souza Mendes e outros, matriculada no
Cartório de Registro de Registro Geral de Imóveis do 1º Ofício 2ª Zona da
Serra, sob o nº 66.324, do Livro nº 2, conforme Anexo 1.
b) Área medindo 14,00 m²,
integrante da Chácara 63, com área total de 6.338,00m², na Rua da Acácia,
Loteamento “Balneário Carapebus”, Bairro Balneário de
Carapebus, Distrito de Carapina, Serra – ES, de
propriedade da Sociedade Empresária Lazer Administração e Participação Ltda, inscrita no CNPJ nº 01.243.869/0001-20, matriculada
no Cartório de Registro de Registro Geral de Imóveis do 1º Ofício 2ª Zona da
Serra, sob o nº 16.592, Livro 2, conforme Anexo 2.
c) Área medindo 14,00m²,
integrante da Chácara 64, com área total de 7.322,00 m², na Rua da Acácia,
Loteamento “Balneário Carapebus”, Bairro Balneário de
Carapebus, Distrito de Carapina, Serra – ES; de
propriedade do Espólio de José Olympio Gomes, matriculada no Cartório de
Registro Geral de Imóveis da 1ª Zona de Vitória, sob o nº 44, Livro 8-H,
conforme Anexo 2.
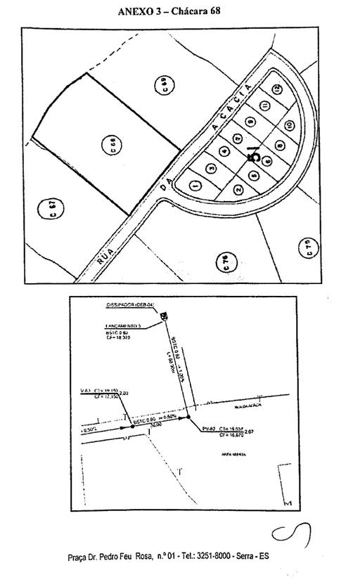
d) Área medindo 119,20m²,
integrante da Chácara 68, com área total de 6.272,00m², na Rua da Acácia,
Loteamento “Balneário Carapebus”, no Bairro Balneário
de Carapebus, Distrito de Carapina, Serra – ES, de
propriedade da Sociedade Empresária Douglas Seidel
Móveis Ltda, CNPJ nº 28.134.930/0001-57; matriculada
no Cartório de Registro de Registro Geral de Imóveis do 1º Ofício 2ª Zona da
Serra, sob nº. 80.268, Livro 2, conforme Anexo 3.
e) Área medindo 66,00m²,
integrante da Chácara 82, com área de 6.156,00m², na Rua do Coqueiro,
Loteamento “Balneário Carapebus”, no Bairro Balneário
de Carapebus, Distrito de Carapina, Serra – ES, de
propriedade da Sociedade Empresária Douglas Seidel
Móveis Ltda, CNPJ nº 28.134.930/0001-57, matriculada
no Cartório de Registro Geral de Imóveis do 1º Ofício 1ª Zona da Serra, sob o
nº 3.880, Livro 2-R, conforme Anexo 4.
f) Área medindo 63,20m², integrante
da Chácara 83, com área de 6.292,00m², na Rua do Coqueiro, Loteamento
“Balneário Carapebus”, no Bairro Balneário de Carapebus, Distrito de Carapina, Serra – ES, de propriedade
da Sociedade Empresária Douglas Seidel Móveis Ltda, CNPJ nº 28.134.930/0001-57, matriculada no Cartório
de Registro Geral de Imóveis do 1º Ofício 1ª Zona da Serra, sob o nº 3.880,
Livro 2-R, conforme Anexo 5.
Art. 2º O presente
Decreto tem por finalidade instituir faixas de servidão para passagem de rede
de drenagem de águas pluviais.
Art. 3º Este Decreto
entrará em vigor a partir da data de sua publicação, ficando revogadas as
disposições em contrário.
Palácio
Municipal, em Serra, aos 9 de março de 2017.
AUDIFAX CHARLES PIMENTEL BARCELOS
PREFEITO
MUNICIPAL
Este texto não substitui o original publicado e arquivado na
Prefeitura Municipal da Serra.




