O PREFEITO
MUNICIPAL DA SERRA, ESTADO DO ESPÍRITO
SANTO, usando das atribuições legais, que lhe são conferidas pelo disposto
no inciso V do artigo 72 da Lei Orgânica do
Município e, tendo em
vista o que consta no processo administrativo nº 66.187/2014 e apenso, decreta:
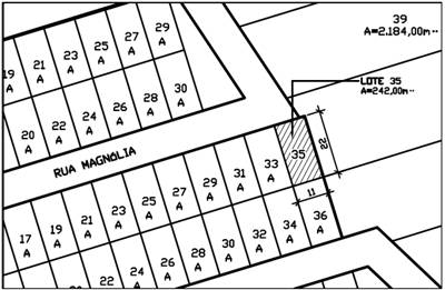
Art. 1º Declara de Utilidade Pública para fins de desapropriação, uma área de terreno medindo 242,00m², referente ao Lote 35, Rua Magnólia, Bairro Serra Dourada II, Distrito Sede - Serra/ES, de propriedade de Ademilson Miguel e sua esposa Neuza Barcelos Miguel, matriculada no Cartório de Registro Geral de Imóveis 1ª Zona – Serra, sob o nº 29.721, conforme Anexo Único.
Art. 2º A presente desapropriação tem por finalidade a execução de obras de contenção de encosta.
Art. 3º Fica a Procuradoria Geral do Município autorizada a promover os atos administrativos e judiciais, com vistas à efetivação da desapropriação de que trata este Decreto.
Art. 4º As despesas decorrentes desta desapropriação correrão por conta de dotação orçamentária própria.
Art. 5º Este Decreto entrará em vigor a partir da data de sua publicação.
Palácio Municipal, em Serra, aos 6 de junho de 2018.
AUDIFAX CHARLES
PIMENTEL BARCELOS
PREFEITO MUNICIPAL
Este texto não substitui o original publicado e arquivado na
Prefeitura Municipal da Serra.

Figura 1: Planta do Loteamento

Figura 2: Levantamento Topográfico