DECRETO Nº 3241, DE 7 DE NOVEMBRO DE 2018

 

RETIFICA O DECRETO Nº 3546, DE 1º DE JULHO DE 2003, QUE DECLARA DE UTILIDADE PÚBLICA A ÁREA LOCALIZADA NA AV. CARAPEBUS, 12A, JARDIM LIMOEIRO, NECESSÁRIA PARA IMPLANTAÇÃO DO PROJETO DO NOVO ACESSO À CST/NOVO HORIZONTE E PARA FAZER A LIGAÇÃO.

 

O PREFEITO MUNICIPAL DA SERRA, ESTADO DO ESPÍRITO SANTO, usando das atribuições legais, que lhe são conferidas pelo disposto no inciso V do artigo 72 da Lei Orgânica do Município e, tendo em vista o que consta no processo administrativo nº 293.5939/2002, decreta:

 

Art. 1º Retifica os artigos 1º e 2º do Decreto nº 3546/2003:

 

Onde se lê:

 

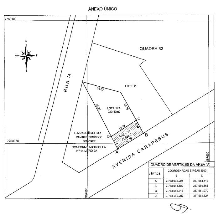
Art. 1º Fica declarada de Utilidade Pública para fins de desapropriação a área do Lote 12A, Quadra 32, Bloco B, medindo 71,55m², localizada na Av. Carapebus, Jardim Limoeiro neste Município, confrontando-se defronte com a Av. Carapebus, com 12,46m, de fundos com o Lote 12B, com 12,40m, do lado direito com o Lote 12C, com 4,13m, e do lado esquerdo com Lote 12A com 4,34m.

 

Leia-se:

 

Art. 1º Fica declarada de Utilidade Pública para fins de desapropriação parte da “área de terreno medindo 303,00m²”, Quadra 32, Bloco B, Bairro Jardim Limoeiro, Distrito de Carapina, neste Município, devidamente matriculada no Cartório de Registro de Imóveis da 2ª Zona da Vara da Serra, sob o nº 2.294, Livro nº 2-L, parte essa doravante denominada Área “A”, medindo 71,55m², localizada na Avenida Carapebus, confrontando-se à frente com a Avenida Carapebus, com 12,29m, aos fundos com o Lote 12A, com 12,18m, do lado direito com Luiz Zanoni Netto e Raminho Domingos Demoner, com 5,74m, e do lado esquerdo com Lote 11 medindo 5,97m, em conformidade com a planta aprovada pela Secretaria Municipal de Desenvolvimento Urbano - Sedur, constante no mencionado processo administrativo e Anexo Único;”

 

Onde se lê:

 

Art. 2º A presente desapropriação tem por finalidade destinar a área para implantação do projeto do novo acesso à CST/Novo Horizonte e necessária para fazer a ligação com bairros contíguos. ”

 

Leia-se:

 

Art. 2º A presente desapropriação tem por finalidade destinar a Área “A” para implantação do projeto do novo acesso à CST/Novo Horizonte e necessária para fazer a ligação com bairros contíguos, passando a mesma a pertencer ao sistema viário municipal. ”

 

Art. 2º A área remanescente que permanecerá sob o poder do proprietário passará a se denominar “Lote 12A”, medindo 229,43m².

 

Art. 3º Este Decreto entrará em vigor na data de sua publicação, revogando-se as disposições em contrário.

 

Palácio Municipal, em Serra, aos 7 de novembro de 2018.

 

AUDIFAX CHARLES PIMENTEL BARCELOS

PREFEITO MUNICIPAL

 

Este texto não substitui o original publicado e arquivado na Prefeitura Municipal da Serra.