O PREFEITO MUNICIPAL DA SERRA, ESTADO DO ESPÍRITO SANTO, usando das atribuições legais, que lhe são conferidas pelo disposto no inciso V do artigo 72 da Lei Orgânica do Município e, tendo em vista o que consta no processo administrativo nº 57.424/2016, decreta:
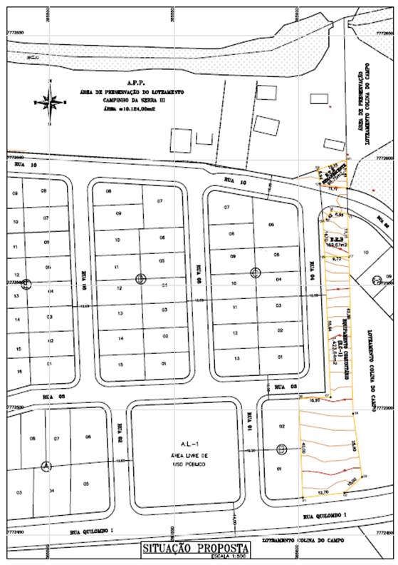
Art. 1º Fica aprovado o Projeto Urbanístico denominado “Projeto de Remanejamento com Doação para o Sistema Viário”, no Loteamento Campinho da Serra III, aprovado mediante o Decreto 10.333/98, matriculado no Cartório de Registro Geral de Imóveis do 1º Ofício 1ª Zona de Vara da Serra/ES, sob o nº 25.165, Livro n° 2, na Área para Equipamento Comunitário, com 1.622,54m², de propriedade do Município da Serra e Área reservada para Estação de Tratamento de Esgoto Sanitário (ETE.) com 181,00m², de propriedade da Araçauna Empreendimentos Imobiliários Ltda, situadas na Estrada Tulipa, Rua Magnólia e Rua Gracha, Bairro Campinho da Serra I, Distrito Sede, neste Município a requerimento da Araçauna Empreendimentos Imobiliários Ltda, tudo em conformidade com a planta aprovada pela Secretaria Municipal de Desenvolvimento Urbano - Sedur, constante no mencionado processo administrativo e Anexo Único.
§ 1º As áreas supra serão remanejadas formando as seguintes áreas:
I - Área “A” medindo 113,48m², confrontando-se à frente com a Rua Copo-de-Leite (antiga Rua 10) em dois segmentos de 7,56m+7,67m=15,23m; aos fundos com a Rua 02 (Loteamento Colina do Campo) em dois segmentos de 5,39m+4,81m=10,20m; lado direito com Área da ETE. Remanescente em um segmento de 11,11m, e lado esquerdo com Área de Equipamento Comunitário (EC-1) em um segmento de 6,66 + 5,42 = 12,08m;
II - Equipamento Comunitário (EC-1), área pública retificada, medindo 1.423,64m², confrontando-se à frente com a Estrada Tulipa em um segmento de 12,70m; aos fundos com “E.E.B.”, em um segmento 9,73m, lado direito com a Rua Gracha e Rua Magnólia e Lotes 01 e 02 da Quadra B em três segmentos de 55,84m+16,90m+40,00m=112,74m; e lado esquerdo com o Loteamento Colina do Campo em três segmentos de 15,00m+25,80m+62,88m=103,68m.
III - ETE Remanescente (área particular), medindo 96,75m², confrontando-se à frente com a Área “A” em um segmento de 11,11m; aos fundos com Área de Preservação do Loteamento Campinho da Serra III; em um segmento 12,15m; lado direito com a Rua Gracha em um segmento de 5,64m; e lado esquerdo com Área de Preservação do Loteamento Colina do Campo em um segmento de 11,61m;
IV - E.E.B, medindo 169,67m², destinada à Estação Elevatória de Esgoto Bruto, confrontando-se à frente com a Área “A” em dois segmentos de 6,66m+5,42m=12,08; aos fundos com Equipamento Comunitário (EC-1) em um segmento de 9,73m; lado direito com Loteamento Colina do Campo em um segmento de 17,11m; e lado esquerdo com Rua Gracha em um segmento de 14,10m;
Art. 2º A Área “A”, medindo 113,48m²m², passará
a integrar a Rua Copo-de-Leite do Loteamento Campinho da Serra III e será doada
ao Município da Serra, destinada ao Sistema Viário,
no ato do registro imobiliário.
Art. 3º A ETE Remanescente, área particular
remanescente, medindo 96,75m², será doada ao Município da Serra e destinada a Equipamento Comunitário (E.C-2), no ato do registro
imobiliário.
Art. 4º A E.E.B, medindo 169,67m², destinada à Estação Elevatória de Esgoto Bruto será doada ao
Município da Serra, no ato do registro imobiliário.
Art. 5º Fica sob a responsabilidade da Empresa Araçauna Empreendimentos Imobiliários Ltda, todas as despesas cartorárias referentes aos registros imobiliários.
Art. 6º O proprietário, acima identificado, têm o prazo de 180, contados a partir da data da aprovação do projeto para proceder ao seu registro, no Cartório de Registro de Imóveis do 1º Ofício 1ª Zona da Vara da Serra, sob pena de caducidade da aprovação, conforme consta no artigo 273 da Lei Municipal nº 3.820/2012.
Art. 7º Este Decreto entrará em vigor na data de sua publicação, revogadas as disposições em contrário.
Palácio Municipal, em Serra, aos 7 de dezembro de 2018.
AUDIFAX CHARLES PIMENTEL BARCELOS
PREFEITO MUNICIPAL
Este texto não substitui o
original publicado e arquivado na Prefeitura Municipal da Serra.
ANEXO ÚNICO
