O PREFEITO MUNICIPAL DA SERRA, Estado do Espírito Santo, no uso das atribuições legais, que lhe são conferidas pelo disposto no inciso V, do artigo 72 da Lei Orgânica do Município e, tendo em vista o que consta no processo eletrônico nº 49.698/2021 e,
CONSIDERANDO o interesse do Município em receber em doação três áreas, denominadas “ÁREA C” com 1.962,62 m², “ÁREA D” com 1.141,09m² e “ÁREA E” com 195,29m², desmembradas da área de terreno com 25.647,05 m², para fins de incorporação ao Sistema Viário Municipal;
CONSIDERANDO que o artigo 264 da Lei Municipal nº 3.820/2012 – Plano Diretor Municipal - PDM determina que as glebas em processo de desmembramento, inseridas no perímetro urbano, superiores a 10.000m², deverão destinar, no mínimo, 10% da área útil parcelável da gleba para equipamentos comunitários, espaços livres de uso público ou ampliação do sistema viário municipal;
CONSIDERANDO que o artigo 286 da Lei Municipal nº 3.820/2012 – Plano Diretor Municipal - PDM determina a doação de 5% (cinco por cento) do total da área do empreendimento, para implantação de equipamentos comunitários, em locais de livre acesso ao público, para empreendimento com mais de 300 (trezentas) unidades ou mais de 15.000m², ECRETA:
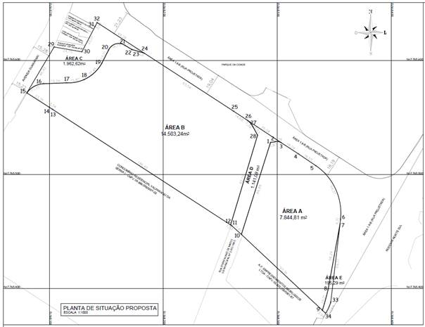
Art. 1º Fica aprovado o projeto de desmembramento com retificação de área, medidas e confrontantes da “ÁREA 1.6-A” medindo 25.647,05m², situada na Avenida Guarapari, no Bairro Santa Luzia, Distrito de Carapina, neste Município, matriculada no Cartório de Registro Geral de Imóveis do 1º Ofício da 2ª Zona da Serra, sob o nº 56.439, Livro n° 2, propriedade de PARALAXE PARTICIPAÇÕES LTDA, inscrita no CNPJ 04.755.619/0001-67, tudo em conformidade com o projeto aprovado pela Secretaria Municipal de Desenvolvimento Urbano - SEDUR, constante no mencionado processo eletrônico e no Anexo Único.
§ 1º A área descrita no caput deste artigo será desmembrada, originando 5 áreas no total, contendo as seguintes medidas e confrontações:
I - A “ÁREA A”, medindo 7.844,81m², confrontando-se pela frente com a “ÁREA 1.6-B (Rua Projetada)” em quatro segmentos de 18,09m + 18,53m + 54,37m + 4,31m, totalizando 95,30m; fundos com “A. F. Empreendimentos Imobiliários LTDA” em um segmento de 97,36m; lado direito com a “ÁREA E” em dois segmentos de 58,24m + 19,21m, totalizando 77,45m; e lado esquerdo com a “ÁREA D” em três segmentos de 84,88m + 3,87m + 5,38m, totalizando 94,13m;
II - A “ÁREA B”, medindo 14.503,24m², confrontando-se pela frente com a “ÁREA 1.6-B (Rua Projetada)” em dois segmentos de 93,54m + 14,68m, totalizando 108,22m; fundos com “Condomínio Residencial Valparaíso da Serra I” em três segmentos de 186,45m + 3,34m + 23,35m, totalizando 213,14m; lado direito com a “ÁREA D” em três segmentos de 82,19m + 8,53m + 7,34m, totalizando 98,06m; e lado esquerdo com a “ÁREA C” em nove segmentos de 17,15m + 19,29m + 15,87m + 21,45m + 13,21m + 16,75m + 7,17m + 7,32m + 4,01m, totalizando 122,22m;
III - A “ÁREA C”, medindo 1.962,62m², confrontando-se pela frente com a “ÁREA 1.6-B (Rua Projetada)” em um segmento de 49,28m; fundos com a “ÁREA B” em dois segmentos de 17,15m + 19,29m, totalizando 36,44m; lado direito com a “ÁREA B” em sete segmentos de 15,87m + 21,45m + 13,21m + 16,75m + 7,17m + 7,32m + 4,01m, totalizando 85,78m; e lado esquerdo com a Avenida Guarapari, “Agrimaldo Barreto de Lacerda”, “Julio Maria Lopes Pacheco”, “Luiza Helena Nunes Vieira Correa” e “Rodolfo Ronquete Pickhardt” em quatro segmentos de 46,92m + 24,75m + 25,01m + 3,94m, totalizando 100,62m;
IV - A “ÁREA D”, medindo 1.141,09m², confrontando-se pela frente com a “ÁREA 1.6-B (Rua Projetada)” em um segmento de 35,08m; pelos fundos com “Condomínio Residencial Valparaíso da Serra I” e Rua Etiene Nunes de Matos em dois segmentos de 1,03m + 11,61m, totalizando 12,64m; lado direito com a “ÁREA A” em três segmentos de 84,88m + 3,87m + 5,38m, totalizando 94,13m; e lado esquerdo com a “ÁREA B” em três segmentos de 82,19m + 8,53m + 7,34m, totalizando 98,06m;
V - A “ÁREA E”, medindo 195,29m², confrontando-se pela frente com a “ÁREA 1.6-B (Rua Projetada)” em dois segmentos de 10,64m + 69,37m, totalizando 80,01m; pelos fundos com “AF Empreendimentos Imobiliários” em um segmento de 3,94m; e pelo lado esquerdo com a “ÁREA A” em dois segmentos de 19,21m + 58,24m, totalizando 77,45m.
Art. 2º As áreas “ÁREA C”, “ÁREA D” e “ÁREA E” medindo respectivamente 1.962,62m², 1.141,09m² e 195,29m², e totalizando 3.299,00m² serão doadas ao Município, para fins de atendimento aos artigos 264 e 286 da Lei 3.820/2012 - PDM, sendo:
I - 2.564,70m², correspondente a 10% da área total da ÁREA 1.6-A a ser desmembrada, em atendimento ao artigo 264 da Lei 3.820/2012 - PDM;
II - 734,30m², correspondente a 5% da “ÁREA B”, onde será implantado um empreendimento residencial multifamiliar com mais de 300 unidades habitacionais, em atendimento ao artigo 286 da Lei 3.820/2012 - PDM.
Art. 3º Fica sob a responsabilidade da Paralaxe Participações LTDA, inscrita no CNPJ 04.755.619/0001-67, proprietária da área de terreno descrita no artigo 1º, todas as despesas cartorárias referentes à doação das áreas denominadas “ÁREA C”, “ÁREA D” e “ÁREA E”, medindo respectivamente 1.962,62m², 1.141,09m² e 195,29m², e totalizando 3.299,00m², e seu respectivo registro.
Art. 4º O proprietário, acima identificado, têm o prazo de 180 (cento e oitenta dias), contados a partir da data da aprovação do projeto, para proceder o registro do desmembramento no Cartório de Registro Geral de Imóveis do 1º Ofício da 2ª Zona da Serra, sob pena de caducidade da aprovação, conforme consta no artigo 273 da Lei nº 3.820/2012.
Art. 5º Este Decreto entrará em vigor a partir da data de sua publicação.
Palácio Municipal em Serra, 15 de fevereiro de 2023.
Este texto não substitui o original publicado e arquivado na Prefeitura Municipal da Serra.
