O PREFEITO MUNICIPAL DA SERRA, ESTADO DO ESPÍRITO SANTO, no uso das atribuições legais, que lhe são conferidas pelo disposto no inciso V, do artigo 72 da Lei Orgânica do Município e, tendo em vista o que consta no processo administrativo nº 42.517/2023,
CONSIDERANDO o interesse do Município em receber em doação a Área 02, medindo 1.349,89m² (mil, trezentos e quarenta e nove metros quadrados, e oitenta e nove decímetros quadrados), desmembrada de área maior com 106.848,00m² (cento e seis mil, oitocentos e quarenta e oito metros quadrados), destinada a ampliação do sistema viário existente e adequação do acesso ao empreendimento a ser implantado no local, conforme estabelecido no Estudo de Impacto de Vizinhança-EIV nº 07/2020 e Termo de Compromisso firmado, decreta:
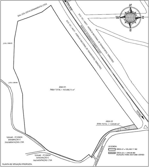
Art. 1º Fica aprovado o projeto de desmembramento da “Gleba” medindo 106.848,00m² (cento e seis mil, oitocentos e quarenta e oito metros quadrados), dos quais 44.877,95m² (quarenta e quatro mil, oitocentos e setenta e sete metros quadrados, e noventa e cinco decímetros quadrados) foram classificados como Zonas de Proteção Ambiental 01 e 02 e 61.970,05m² (sessenta e um mil, novecentos e setenta metros quadrados, e cinco decímetros quadrados) equivalem ao total da área útil parcelável, situada na Rodovia Governador Mário Covas, km 263, esquina com a Avenida Reilly Duarte, no Bairro Pitanga, Distrito de Carapina, neste Município, matriculada no Cartório de Registro Geral de Imóveis do 1º Ofício da 2ª Zona da Serra, sob o nº 43.300, Livro nº 2; propriedade da APEX LOG Pitanga empreendimento Imobiliário SPE LTDA, inscrita no CNPJ nº 41.426.421/0001-66, em conformidade com o projeto aprovado pela Secretaria Municipal de Desenvolvimento Urbano (Sedur), constante no mencionado processo administrativo e no Anexo Único.
§ 1º A área descrita no caput deste artigo será desmembrada, originando 02 áreas no total, contendo as seguintes medidas e confrontações:
I - área 01, medindo 105.498,11m² (cento e cinco mil, quatrocentos e noventa e oito metros quadrados, e onze decímetros quadrados), dos quais 44.877,95m² (quarenta e quatro mil, oitocentos e setenta e sete metros quadrados, e noventa e cinco decímetros quadrados) foram classificados como Zona de Proteção Ambiental e 60.620,16m² (sessenta mil, seiscentos e vinte metros quadrados, e dezesseis decímetros quadrados) equivalem ao total da área útil parcelável, confrontando-se pela frente com a Rodovia Governador Mário Covas em nove segmentos de 13,73m + 41,02m + 35,75m + 45,70m + 114,67m + 61,18m + 82,68m + 47,10m + 16,47m, totalizando 458,30m; fundos com “TERVAP-Pitanga Mineração e Pavimentação LTDA” em dezessete segmentos de 10,64m + 31,48m + 8,22m + 7,75m + 90,58m + 13,13m + 18,56m + 27,09m + 18,80m + 15,65m + 80,56m + 4,20m + 39,75m + 48,31m + 39,05m + 91,74m + 56,91m, totalizando 602,42m; lado direito com a “Área 02” em quatro segmentos de 61,59m + 66,73m + 38,98m + 15,89m, totalizando 183,19m; e lado esquerdo com “DAL COL Estacionamento LTDA” em três segmentos de 37,68m + 43,86m + 35,87m, totalizando 117,41m;
II - área 02, medindo 1.349,89m² (mil, trezentos e quarenta e nove metros quadrados, e oitenta e nove decímetros quadrados), sendo o mesmo valor equivalente ao total da área útil parcelável pois não existe Zona de Proteção Ambiental, confrontando-se pela frente com a Rodovia Governador Mário Covas em um segmento de 16,63m; fundos com “TERVAP-Pitanga Mineração e Pavimentação LTDA” em um segmento de 3,65m; lado direito com “Avenida Reilly Duarte” em cinco segmentos de 87,40m + 10,74m + 13,47m + 13,94m + 62,16m, totalizando 187,71m; e lado esquerdo com “Área 01” em quatro segmentos de 61,59m + 66,73m + 38,98m + 15,89m, totalizando 183,19m.
Art. 2º A Área 02, medindo 1.349,89m² (mil, trezentos e quarenta e nove metros quadrados, e oitenta e nove decímetros quadrados) será doada ao Município, conforme medida mitigadora estabelecida no Estudo de Impacto de Vizinhança-EIV nº 07/2020 e Termo de Compromisso firmado, destinada a ampliação do sistema viário existente e adequação do acesso ao empreendimento a ser implantado no local.
Art. 3º Fica sob a responsabilidade da APEX LOG Pitanga empreendimento Imobiliário SPE LTDA, inscrita no CNPJ nº 41.426.421/0001-66, proprietária da gleba descrita no artigo 1º, todas as despesas cartorárias referentes à doação da área denominada “Área 02”, medindo 1.349,89m² (mil, trezentos e quarenta e nove metros quadrados, e oitenta e nove decímetros quadrados) e seu respectivo registro.
Art. 4º O proprietário, acima identificado, têm o prazo de 180 dias, contados a partir da data da aprovação do projeto, para proceder o registro do desmembramento no Cartório de Registro Geral de Imóveis do 1º Ofício da 2ª Zona da Serra, sob pena de caducidade da aprovação, conforme prevê o artigo 18 da Lei Federal de Parcelamento do Solo nº 6.766/1979.
Art. 5º Este Decreto entra em vigor a partir da data de sua publicação, revogadas as disposições em contrário.
Palácio Municipal em Serra, 06 de dezembro de 2023.
ANTÔNIO SERGIO ALVES VIDIGAL
PREFEITO MUNICIPAL
Este texto não substitui o original publicado e arquivado na Prefeitura Municipal da Serra.
ANEXO ÚNICO
