O PREFEITO
MUNICIPAL DA SERRA, ESTADO DO ESPÍRITO SANTO, usando das atribuições
legais, que lhe são conferidas pelo disposto no inciso
V do artigo 72 da Lei Orgânica do Município, decreta:
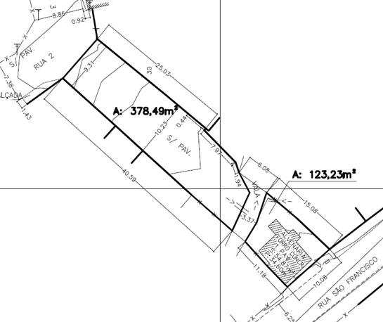
Art. 1º Declara de Utilidade Pública, para fins de desapropriação, uma área de terreno totalizando 501,72m² e eventuais benfeitorias existentes no terreno, referente a 2 imóveis, sendo o primeiro localizado na Rua São Francisco, medindo 123,23m², inscrição imobiliária municipal nº 001.2033.0716.001, de posse de Amirton Genuíno dos Reis e o segundo medindo 378,49m², de posse de Adão Luiz Alves de Almeida.
Art. 2º A
presente desapropriação tem por finalidade executar obras de melhoria e
ampliação no sistema viário do Bairro Jardim Bela Vista, interligando a Rua São
Francisco com a Rua 3.
Art. 3º Fica a Procuradoria Geral do Município autorizada a promover os atos administrativos e judiciais, com vistas à efetivação da desapropriação de que trata este Decreto.
Art. 4º As despesas decorrentes desta desapropriação correrão por conta de dotação orçamentária própria.
Art. 5º Este Decreto entrará em vigor a partir da data de sua publicação.
Palácio Municipal em Serra, aos 21 de maio de 2015.
AUDIFAX CHARLES PIMENTEL BARCELOS
PREFEITO MUNICIPAL
Este texto não substitui o original publicado e arquivado na
Prefeitura Municipal da Serra.
ANEXO ÚNICO
