O PREFEITO MUNICIPAL DA SERRA, ESTADO DO ESPÍRITO SANTO, usando das atribuições legais, que lhe são conferidas pelo disposto no inciso V, do artigo 72 da Lei Orgânica do Município e tendo em vista o que consta no processo administrativo nº 125.335/2012, decreta:
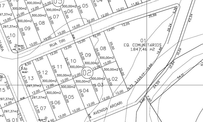
Art. 1º Declara de Utilidade Pública para Fins de Desapropriação uma área totalizando 600,00m², referente aos lotes 2 e 3 da Quadra 2 do Loteamento Residencial Monte Verde, medindo cada um 300,00m², localizados na Avenida Aroari, integrante do Bairro Nova Carapina II, Distrito Sede – Serra/ES, de propriedade de Cristal Empreendimentos Imobiliários Ltda, matriculados no Cartório de Registro Geral de Imóveis da 1ª Zona da Serra respectivamente sob os nºs 36.651, 36.652, Livro 2, conforme Anexo Único.
Art. 2º A presente desapropriação tem por finalidade garantir a propriedade do terreno onde já está construído o Centro de Educação Infantil do Bairro.
Art. 3º Este Decreto entrará em vigor a partir da data de sua publicação, ficando revogadas as disposições em contrário.
Palácio Municipal, em Serra, aos 18 de agosto de 2015.
Este texto não substitui o original publicado e arquivado na Prefeitura Municipal da Serra.
ANEXO ÚNICO

