O PREFEITO MUNICIPAL DE SERRA, ESTADO DO ESPÍRITO SANTO Faço saber que a Câmara Municipal decreta e eu sanciono a seguinte Lei:
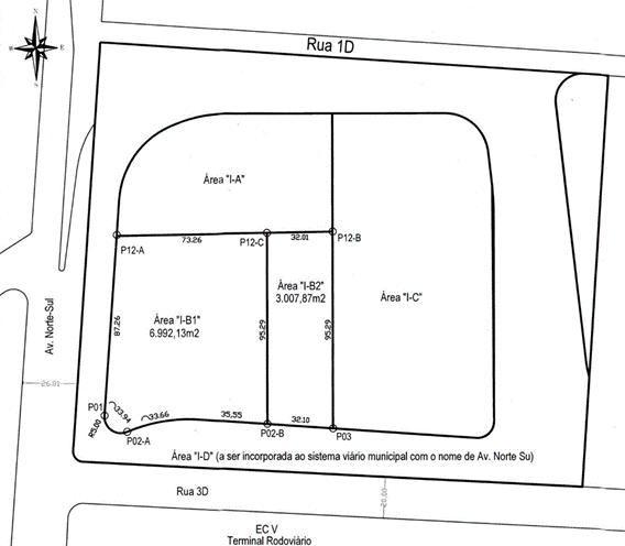
Art. 1º Fica o Poder Executivo Municipal autorizado a alienar, sob forma de doação, ao Estado do Espírito Santo, para uso do Ministério Público do Estado do Espírito Santo, a Área I-A de terreno medindo 3.007,87m² inscrita sob registro matrícula nº 106.03, situada em Centro Industrial de Grande Vitória – CIVIT, Setor II, Distrito de Carapina, no Município da Serra – ES, conforme planta anexa, parte integrante desta Lei.
Art. 2º A doação anunciada no art. 1º desta Lei fica condicionada à realização de imediata cessão e posterior doação ao Município de imóvel localizado à Av. Getúlio Vargas, nº 295, Serra Centro, Serra – ES, Cep: 29176- 090.
Art. 3º Esta Lei entra em vigor na data de sua publicação, revogadas as disposições em contrário.
Palácio Municipal em Serra, 12 de dezembro de 2024.
ANTÔNIO SERGIO ALVES VIDIGAL
PREFEITO MUNICIPAL
Este texto não substitui o original publicado e arquivado na Prefeitura Municipal da Serra.
