O PREFEITO MUNICIPAL DA SERRA, ESTADO DO ESPÍRITO SANTO, usando das atribuições legais, que lhe são conferidas pelo disposto no inciso V do Artigo 72 da Lei Orgânica do Município,
CONSIDERANDO o inteiro teor do processo administrativo nº 8.477/2013, decreta:
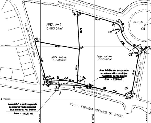
Art. 1º Aprova o desmembramento das Áreas A-6 e A-7 medindo, respectivamente, 5.110,09m² e 13.435,43m², situadas na Rua Barão do Rio Branco, Distrito de Carapina, neste Município, matriculadas no Cartório de Registro Geral de Imóveis do 1º Ofício 2ª Zona da Serra, respectivamente, sob os nº. 73.459 e 73.460, livro n° 2, de propriedade de MRV Engenharia e Participações S/A, tudo em conformidade com a planta aprovada pela Secretaria Municipal de Desenvolvimento Urbano – Sedur, constante no mencionado processo administrativo e Anexo Único.
§ 1º As áreas citadas acima serão desmembradas, originando 4 áreas, com as seguintes medidas e confrontações:
I - Área “A-6-A”, medindo 4.700,66m², confrontando-se de frente com a Rua João Evangelista de Souza, em dois segmentos de 74,03+12,49, totalizando 86,52; fundos com Área “A-7-A”, em um segmento de 63,78m; lado direito com Área “A-5”, em um segmento de 84,28m²; e lado esquerdo com a Área “A-6-B”, em dois segmentos de 25,63+22,59, totalizando 48,22m;
II - Área “A-6-B”, medindo 419,67m², confrontando-se de frente com a Rua Barão do Rio Branco, em dois segmentos de 50,34+8,93, totalizando 59,27m; fundos com Área “A-6-A”, em três segmentos de 12,49+25,63+22,59, totalizando 60,71m; lado direito com Rua João Evangelista de Souza, em um segmento de 6,02m; e lado esquerdo com Área “A-7-B”, em um segmento de 4,61m;
III - Área “A-7-A”, medindo 13.359,83m², confrontando-se de frente com a Rua Dom Pedro II, em quatro segmentos de 74,51+16,85+44,64+16,22, totalizando 152,22m; fundos com Rua Barão do Rio Branco, em três segmentos de 11,55+47,67+48,98, totalizando 108,20m; lado direito com Rua Dona Tereza Cristina em um segmento de 74,57 e lado esquerdo com as Áreas “A-6-A”, “A-6-B” e “A-5”, em dois segmentos de 70,73+63,78, totalizando 134,51m;
IV - Área “A-7-B”, medindo 72,93m², confrontando-se de frente com a Rua Barão do Rio Branco, em um segmento de 48,36; fundos com Área “A-7-A”, em um segmento de 48,98m e lado direito com Área “A-6-B” em um segmento de 4,61m.
Art. 2º A Área “A-6-B”, medindo 419,67m² e a Área “A-7-B”, medindo 72,93m², serão incorporadas ao Sistema Viário Municipal, conforme estabelecido no artigo 265 da Lei Municipal nº 3.820/2012, integrando-se à Rua Barão do Rio Branco.
Art. 3º Fica sob a responsabilidade da doadora das áreas, a Empresa MRV Engenharia e Participações Ltda, todas as despesas cartorárias referentes às doações das áreas “A-6-B” e “A-7-B”.
Art. 4º A proprietária acima identificada tem o prazo de 180 dias, contados a partir da data da aprovação do projeto, para proceder ao seu registro no Cartório de Registro de Imóveis do 1º Ofício 2° Zona da Serra, sob pena de caducidade da aprovação, conforme consta no artigo 273 da Lei Municipal nº 3.820/2012.
Palácio Municipal em Serra, aos 30 de janeiro de 2015.
Este texto não substitui o original publicado e arquivado na Prefeitura Municipal da Serra.
ANEXO ÚNICO
