O PREFEITO MUNICIPAL DA SERRA, ESTADO DO ESPÍRITO SANTO, usando das suas atribuições legais, que lhe são conferidas pelo disposto no Inciso V do Artigo 72 da Lei Orgânica do Município, e, tendo em vista o que consta no Processo Administrativo nº 33.239/2020,
CONSIDERANDO que o Artigo 265 da Lei Municipal nº 3.820/2012 - PDM autoriza o Município a aprovar projeto de desmembramento de gleba com área destinada a incorporar ao Sistema Viário Municipal, sem com isto configurar loteamento, podendo receber em doação e registrar a área em cartório, sem precisar de lei específica;
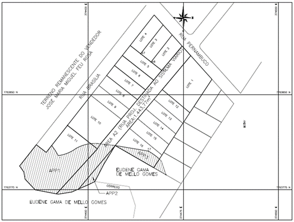
CONSIDERANDO o interesse do Município em receber em doação a “Área A2” com total de 1.443,77m², desmembrada da área maior com 9.231,05m², para incorporação ao Sistema Viário Municipal em atendimento as Intervenções Viárias nº 11 e 57, previstas no Plano Viário, Anexo 12 da Lei Municipal nº 3.820/2012 – PDM, decreta:
Art. 1º Fica aprovado o desmembramento da denominada “Área A1”, medindo 9.231,05m², situada Rua Pernambuco, Bairro Bicanga, Distrito de Carapina, neste Município, matriculada no Cartório de Registro Geral de Imóveis do 1º Ofício 2ª Zona da Serra, sob nº 91.908, Livro nº 2, de propriedade de MARCIO MARTINELLI, inscrito no CPF nº 009-741.717-35, em conformidade com a planta aprovada pela Secretaria Municipal de Desenvolvimento Urbano – SEDUR, constante no mencionado Processo Administrativo e Anexo Único;
§ 1º A área total de 9.231,05m², descrita no caput, será desmembrada em 17 áreas, no que tange à propriedade:
I - lotes 01 a 16, perfazendo um total de 7.787,28m², a permanecer em poder do proprietário;
II - “Área A2”, de 1.443,77m², a ser doada ao Município da Serra para ser incorporada ao sistema viário existente.
Art. 2º Fica sob responsabilidade do doador, MARCIO MARTINELLI, inscrito no CPF nº 009-741.717-35, todas as despesas cartorárias referentes à doação da área destinada ao Município.
Art. 3º O proprietário, acima identificado, tem o prazo de 180 (cento e oitenta) dias, contados a partir da data da aprovação do projeto para proceder registro do desmembramento no Cartório de Registro de Imóveis 2ª Zona da Serra, sob pena de caducidade da aprovação, conforme consta no Artigo 273 da Lei Municipal 3.820/2012 – PDM.
Art. 4º Este Decreto entra em vigor a partir da data de publicação, revogando as disposições em contrário.
Palácio Municipal em Serra, 12 de maio de 2022.
Este texto não substitui o original publicado e arquivado na Prefeitura Municipal da Serra.
