O PREFEITO MUNICIPAL DA SERRA, ESTADO DO ESPÍRITO SANTO, no uso das atribuições legais, que lhe são conferidas pelo disposto no inciso V, do artigo 72 da Lei Orgânica do Município e, tendo em vista o que consta no processo nº 50.697/2020 e,
CONSIDERANDO o interesse do Município em receber em doação a área denominada “ÁREA 5” com 1.282,03m² (mil, duzentos e oitenta e dois metros quadrados e três decímetros quadrados), desmembrada da área de terreno com 14.866,33m² (catorze mil, oitocentos e sessenta e seis metros quadrados e trinta e três decímetros quadrados), para fins de incorporação ao Sistema Viário Municipal, decreta:
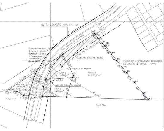
Art. 1º Fica aprovado o projeto de desmembramento de área, medidas e confrontantes, de ”UM TERRENO” medindo 14.866,33m² (catorze mil, oitocentos e sessenta e seis metros quadrados e trinta e três decímetros quadrados), situada na Rodovia Norte Sul, no Bairro São Geraldo, Distrito de Carapina, neste Município, matriculada no Cartório de Registro Geral de Imóveis do 1º Ofício da 2ª Zona da Serra, sob o nº 7.567, Livro n° 2, propriedade de HILDA SILVA MARTINS, inscrita no CNPJ 30.783.237/0001-57, tudo em conformidade com o projeto aprovado pela Secretaria Municipal de Desenvolvimento Urbano - SEDUR, constante no mencionado processo eletrônico e no Anexo Único.
§ 1º A área descrita no caput deste artigo será desmembrada, originando 5 áreas no total, contendo as seguintes medidas e confrontações:
I - a “ÁREA 1”, medindo 10.070,13m² (dez mil e setenta metros quadrados, e treze decímetros quadrados), confrontando-se pela frente com a Rodovia Norte Sul em um segmento de 67,90m; pelos fundos com “VALE S.A.” em um segmento de 145,53m; pelo lado direito com “Fundo de Investimentos Imobiliário em Ativos de Saúde - SAUD” em doze segmentos de 2,93m + 7,57m + 12,53m + 6,42m + 0,53m + 18,28m + 14,02m + 17,50m + 9,99m + 23,25m + 25,66m + 13,50m, totalizando 152,18m; e pelo lado esquerdo com a “ÁREA 2” e a “ÁREA 3” em três segmentos de 41,94m + 4,44m + 36,29m, totalizando 82,67m;
II - a “ÁREA 2”, medindo 1.451,50m² (mil, quatrocentos e cinquenta uns metros quadrados e cinquenta decímetros quadrados), confrontando-se pela frente com a Rodovia Norte Sul em dois segmentos de 17,56m + 12,86m, totalizando 30,42m; pelos fundos com a “ÁREA 1” em um segmento de 36,29m; pelo lado direito com a “ÁREA 3” em um segmento de 47,13m; e pelo lado esquerdo com a “VALE S.A.” um segmento 42,25m;
III - a “ÁREA 3”, medindo 1.194,15m² (mil, cento e noventa e quatro metros quadrados e quinze decímetros quadrados), confrontando-se pela frente com a Rodovia Norte Sul em um segmento de 54,05m; pelos fundos com a “ÁREA 1” em um segmento 4,44m; pelo lado direito com a “ÁREA 1” em um segmento de 41,94m; e pelo lado esquerdo com a “ÁREA 2” em um segmento de 47,13m;
IV - a “ÁREA 4”, medindo 865,52m² (oitocentos e sessenta e cinco metros quadrados e cinquenta e dois decímetros quadrados), confrontando-se pela frente com a Rodovia Norte Sul em três segmentos de 26,15m + 20,50m + 4,90m, totalizando 51,55m; pelos fundos com “Quem de Direito” em um segmento de 62,89m; e pelo lado direito com “VALE S.A.” em seis segmentos de 3,30m + 12,05m + 3,63m + 1,26m + 12,57m + 9,71m, totalizando 42,52m;
V - a “ÁREA 5”, medindo 1.282,03m² (mil, duzentos e oitenta e dois metros quadrados e três decímetros quadrados), confrontando-se pela frente com a Rodovia Norte Sul em um segmento de 55,06m; pelos fundos com a Rodovia Norte Sul em um segmento de 23,85m; pelo lado direito com a “ÁREA 2” e a “ÁREA 3” em três segmentos de 54,05m + 12,86m + 17,56m, totalizando 84,47m; e pelo lado esquerdo com a “ÁREA 4” em três segmentos de 4,90m + 20,50m + 26,15m, totalizando 51,55m.
Art. 2º A área “ÁREA 5”, medindo 1.282,03m² (mil, duzentos e oitenta e dois metros quadrados e três decímetros quadrados), será doada ao Município, para incorporação ao Sistema Viário Municipal em atendimento à Intervenção Viária nº 10, prevista no Plano Viário, Anexo 12 da Lei Municipal nº 3.820/2012 – Plano Diretor Municipal.
Art. 3º Fica sob a responsabilidade de HILDA SILVA MARTINS, inscrita no CNPJ 30.783.237/0001-57, proprietária da área de terreno descrita no artigo 1º, todas as despesas cartorárias referentes à doação da área denominada “ÁREA 5”, medindo 1.282,03m² (mil, duzentos e oitenta e dois metros quadrados e três decímetros quadrados), e seu respectivo registro.
Art. 4º O proprietário, acima identificado, têm o prazo de 180 (cento e oitenta dias), contados a partir da data da aprovação do projeto, para proceder o registro do desmembramento no Cartório de Registro Geral de Imóveis do 1º Ofício da 2ª Zona da Serra, sob pena de caducidade da aprovação, conforme consta no artigo 273 da Lei nº 3.820/2012.
Art. 5º Este Decreto entra em vigor a partir da data de sua publicação, revogadas as disposições em contrário, em especial o Decreto nº 3.991 de 6 de janeiro de 2023.
Palácio Municipal em Serra, aos 14 de julho de 2023.
ANTÔNIO SERGIO ALVES VIDIGAL
PREFEITO MUNICIPAL
Este texto não substitui o original publicado e arquivado na Prefeitura Municipal da Serra.
ANEXO ÚNICO
