O PREFEITO MUNICIPAL DA SERRA, ESTADO DO ESPÍRITO SANTO, usando das atribuições legais, que lhe são conferidas pelo inciso V do artigo 72 da Lei Orgânica do Município,
CONSIDERANDO o inteiro teor do processo administrativo nº 83.862/2014, decreta:
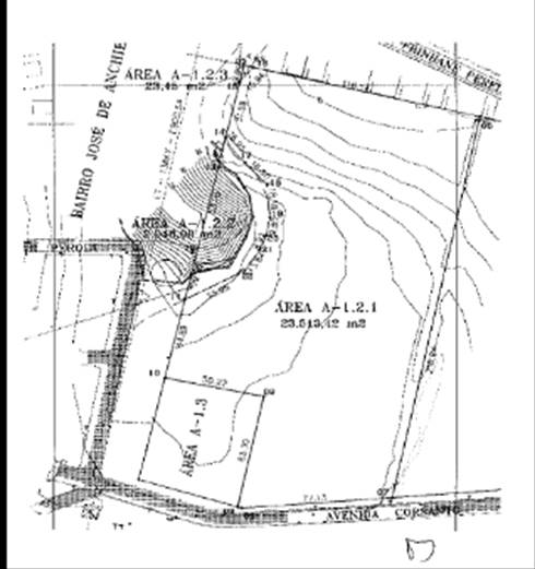
Art. 1º Aprova o desmembramento da área “A-1.2”, medindo 25.584,95m², situada na Avenida Corsanto, no Bairro Residencial Vista do Mestre, Distrito de Carapina, neste Município, matriculada no Cartório de Registro Geral de Imóveis da 2ª Zona da Serra, sob o nº 72.255, Livro n° 2, de propriedade de Santa Rita Empreendimentos Imobiliários SPE Ltda, tudo em conformidade com a planta aprovada pela Secretaria Municipal de Desenvolvimento Urbano – SEDUR, constante no mencionado processo administrativo e Anexo Único.
§ 1º A área supra será desmembrada, originando 3 áreas, com as seguintes medidas e confrontações:
a) Área “A-1.2.1”, medindo 23.513,42m², com as medidas e confrontações constantes no Anexo Único;
b) Área “A-1.2.2”, medindo 2.048,08m², com as medidas e confrontações constantes no Anexo Único;
c) Área “A-1.2.3”, medindo 23,45m², com as medidas e confrontações constantes no Anexo Único.
Art. 2º A Área “A-1.2.2”, medindo 2.048,08m² e a Área “A-1.2.3”, medindo 23,45m² serão incorporadas ao sistema viário municipal, conforme estabelecido no artigo 265 da Lei Municipal nº 3.820/2012 e conforme projeto básico elaborado pelo Município, passando a integrar trecho da Rua Gentila Frinhani Pereira.
Art. 3º Fica sob a responsabilidade do doador das áreas, a Empresa Santa Rita Empreendimentos Imobiliários SPE Ltda, todos os custos e despesas cartorárias e eventuais encargos referentes às doações das áreas mencionadas no artigo 2º.
Art. 4º Os proprietários acima identificados têm o prazo de 180, contados a partir da data da aprovação do projeto, para proceder ao seu registro no Cartório de Registro de Imóveis da 2ª Zona da Serra, sob pena de caducidade da aprovação, conforme consta no artigo 273 da Lei Municipal nº 3.820/2012.
Art. 5º Este Decreto entrará em vigor na data de sua publicação, revogadas as disposições em contrário.
Palácio Municipal em Serra, aos 5 de dezembro de 2014.
AUDIFAX CHARLES PIMENTEL BARCELOS
Este texto não substitui o original publicado e arquivado na
Prefeitura Municipal da Serra.
ANEXO ÚNICO
