O PREFEITO MUNICIPAL DA SERRA, ESTADO DO ESPÍRITO SANTO, usando das atribuições legais, que lhe são conferidas pelo disposto no inciso V do artigo 72 da Lei Orgânica do Município,
CONSIDERANDO o inteiro teor do processo administrativo nº 13.264/2014, decreta:
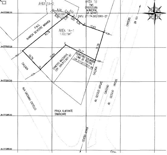
Art. 1º Aprova o desmembramento da Área 1-A, com 400,00m² e área medindo 748,17m², situadas na Avenida Getúlio Vargas e Rua Cassiano Castelo, Bairro Serra – Sede, Distrito Sede, neste Município, matriculadas no Cartório de Registro Geral de Imóveis do 1º Ofício 1ª Zona da Serra, respectivamente, sob os nºs 35.197, livro nº 2 e 5.531 livro n° 2-AB, de propriedade de Carlos Gonçalves da Silva e Penha Maria Vieira da Silva, tudo em conformidade com a planta aprovada pela Secretaria Municipal de Desenvolvimento Urbano – Sedur, constante no mencionado processo administrativo e Anexo Único.
§ 1º As
áreas citadas acima serão retificadas e desmembradas, originando 2 áreas, com
as seguintes medidas e confrontações:
I - Área “1A-1”, medindo 1.122,15m², confrontando-se de frente com a Avenida Getúlio
Vargas, em um segmento de 21,29m; fundos com Alameda Silvestre Miranda, em um
segmento de 42,75m; lado direito com área de Sebastião Salvador Lima de Freitas
e com a área de Ernesto Mazzariol, em três segmentos
de 25,89+24,37+18,79m, totalizando 69,05m e lado esquerdo com área 1-B, em
quatro segmentos de 3,51+3,85+6,26+15,83m, totalizando 29,45m;
II - Área “1A-2”, medindo 33,95m², confrontando-se
de frente com a Alameda Silvestre Miranda, em um
segmento de 8,00m; fundos com a Alameda Silvestre Miranda em dois segmentos de
8,00+2,59m, totalizando 10,59m; lado direito com a Alameda
Silvestre Miranda, em um segmento de 1,00m e lado esquerdo com a Área 1A-1, em
um segmento de 5,98m.
§ 1º As áreas citadas acima serão retificadas e desmembradas, originando 2
áreas, com as seguintes medidas e confrontações:
I - Área “1A-1”,
medindo 1.125,80 m².
II - Área “1A-2”, medindo 33,95 m². (Redação dada pelo Decreto nº 7057/2016)
Art. 2º A Área “1A-2”, medindo 33,95m², será incorporada ao sistema
viário municipal, conforme estabelecido no artigo
265 da Lei Municipal nº 3.820/2012, integrando-se à Alameda Silvestre
Miranda.
Art. 3º Fica sob a responsabilidade dos proprietários Carlos Gonçalves da Silva e Penha Maria Vieira da Silva todas as despesas cartorárias relativas à doação da área “1A-2”.
Art. 4º Os proprietários acima identificados têm o prazo de 180 dias, contados a partir da data da aprovação do projeto, para proceder ao seu registro no Cartório de Registro de Imóveis do 1º Ofício 1ª Zona da Serra, sob pena de caducidade da aprovação, conforme consta no artigo 273 da Lei Municipal nº 3.820/2012.
Art. 5º Este Decreto entrará em vigor na data de publicação.
Palácio Municipal em
Serra, aos 19 de janeiro de 2015.
AUDIFAX CHARLES PIMENTEL BARCELOS
PREFEITO MUNICIPAL
Este texto não
substitui o original publicado e arquivado na Prefeitura Municipal da Serra.
ANEXO ÚNICO
